番組一覧 > OCEAN BLINDNESS 〜私たちは海を知らない?〜 > お知らせ > 藤井サチさんが描いた日本地図にないものが今週のテーマ
藤井サチさんが描いた日本地図にないものが今週のテーマ
OCEAN BLINDNESS 〜私たちは海を知らない?〜
突然ですが、皆さんは「日本地図」というと何を思い浮かべますか?
北海道、本州、四国、九州、沖縄県などの陸地をイメージする人がほとんどだと思います。藤井さんに日本地図を描いてもらっても、陸地だけでした。ちなみに、海野さんに「それナス?」とツッコまれていた藤井さんの日本地図の写真は、ネタバレになるのでこの放送後記の最後に掲載します。お楽しみに!
さて、地図の話に戻りますと、日本の国土は約38万平方kmで世界61位。しかし、「日本の海」と呼ばれる排他的経済水域と領海を合わせた海域を含めると、約447万平方kmで、その広さはなんと世界6位!そう!地図では描かれることが少ないですが、海洋大国・日本といえば、やはり海が欠かせません!!ただ、浅い海域の詳細な海底地形は3%ほどしかわかっていないのだそう。
そこで、今回のテーマは「浅い海域の海底地形図って何の役に立つの?」
アジア航測株式会社の高柳茂暢(たかやなぎ しげのぶ)さんをお迎えして、海底地形の測量、そして、海底地形図の活用方法について深掘りしていきました。

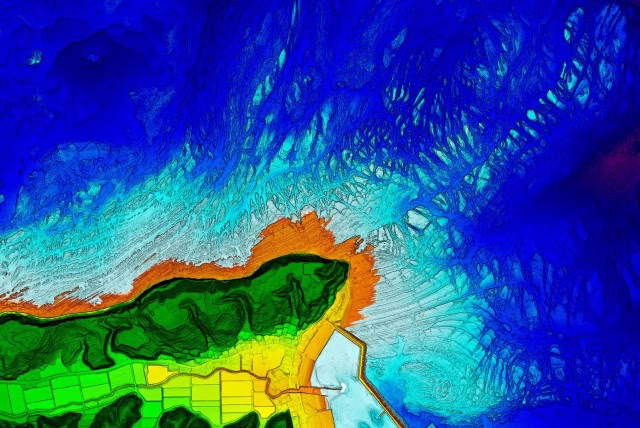
高柳さんは、日本水路協会と日本財団による共同プロジェクト「海の地図プロジェクト」で、海底地形を測量するチームの中心人物です。海の地図プロジェクトは、日本の海岸線をできる限り明らかにしようというもので、今まで船が座礁してしまうなどの理由から難しかった浅い海域の海底地形を、飛行機からレーザーを発射して測量しています。

こちらは、石川県の能登エリアを測量したもので、水色と青色の違いは水深の深さです。プロジェクトが始まってまだ2年ほどですが、すでに約25%の測量を終えたと教えてくださいました。
そんな海底地形図は何の役に立つかというと、防災対策や生物多様性の把握などに役立つと言われています。番組では、地質学の観点から神戸大学海洋底探査センターの巽 好幸(たつみ よしゆき)先生、海洋生物学の観点から東京大学大気海洋研究所の木村 伸吾(きむら しんご)先生にお話を聞いています。また、今後について、バーチャル水中体験といったレジャーでの活用もできるかもしれないそうですよ。ぜひ番組をお聴きください!
【AuDee】OCEAN BLINDNESS ~私たちは海を知らない?~
/program/300008436
♪9/22のオンエアでお届けした楽曲♪
Ed Sheeran「Barcelona」
Olivia Dean「Dive」
それでは、お待たせしました!藤井さんの描いた日本地図の写真がコチラです!!

確かに海野さんがおっしゃったようにナスに見えるかも?
そして、素晴らしい日本地図を描いてくださった隣の男性は、次回ゲストの気象予報士・森朗(もり あきら)さんです。どんな海のお話をしてくださるのでしょう。お楽しみに!!
北海道、本州、四国、九州、沖縄県などの陸地をイメージする人がほとんどだと思います。藤井さんに日本地図を描いてもらっても、陸地だけでした。ちなみに、海野さんに「それナス?」とツッコまれていた藤井さんの日本地図の写真は、ネタバレになるのでこの放送後記の最後に掲載します。お楽しみに!
さて、地図の話に戻りますと、日本の国土は約38万平方kmで世界61位。しかし、「日本の海」と呼ばれる排他的経済水域と領海を合わせた海域を含めると、約447万平方kmで、その広さはなんと世界6位!そう!地図では描かれることが少ないですが、海洋大国・日本といえば、やはり海が欠かせません!!ただ、浅い海域の詳細な海底地形は3%ほどしかわかっていないのだそう。
そこで、今回のテーマは「浅い海域の海底地形図って何の役に立つの?」
アジア航測株式会社の高柳茂暢(たかやなぎ しげのぶ)さんをお迎えして、海底地形の測量、そして、海底地形図の活用方法について深掘りしていきました。

高柳さんは、日本水路協会と日本財団による共同プロジェクト「海の地図プロジェクト」で、海底地形を測量するチームの中心人物です。海の地図プロジェクトは、日本の海岸線をできる限り明らかにしようというもので、今まで船が座礁してしまうなどの理由から難しかった浅い海域の海底地形を、飛行機からレーザーを発射して測量しています。

こちらは、石川県の能登エリアを測量したもので、水色と青色の違いは水深の深さです。プロジェクトが始まってまだ2年ほどですが、すでに約25%の測量を終えたと教えてくださいました。
そんな海底地形図は何の役に立つかというと、防災対策や生物多様性の把握などに役立つと言われています。番組では、地質学の観点から神戸大学海洋底探査センターの巽 好幸(たつみ よしゆき)先生、海洋生物学の観点から東京大学大気海洋研究所の木村 伸吾(きむら しんご)先生にお話を聞いています。また、今後について、バーチャル水中体験といったレジャーでの活用もできるかもしれないそうですよ。ぜひ番組をお聴きください!
【AuDee】OCEAN BLINDNESS ~私たちは海を知らない?~
/program/300008436
♪9/22のオンエアでお届けした楽曲♪
Ed Sheeran「Barcelona」
Olivia Dean「Dive」
それでは、お待たせしました!藤井さんの描いた日本地図の写真がコチラです!!

確かに海野さんがおっしゃったようにナスに見えるかも?
そして、素晴らしい日本地図を描いてくださった隣の男性は、次回ゲストの気象予報士・森朗(もり あきら)さんです。どんな海のお話をしてくださるのでしょう。お楽しみに!!
最新のお知らせ
黒潮の大蛇行終息・サンマ豊漁・広島カキ全滅──2025年“海の流行語”で読み解く日本の海
11/30(日)10:00am – 10:40am OCEAN BLINDNESS ~私たちは海を知らない?~海に関するさまざまなプロジェクトを手掛ける日本
ぜひお取り寄せしてみて!富山の氷見ブリ・あさり・アイゴ・すじ青のりのパウンドケーキまで絶品の海グルメに舌つづみ!
11/23(日)10:00am – 10:40am OCEAN BLINDNESS ~私たちは海を知らない?~海に関するさまざまなプロジェクトを手掛ける日本
これから旬を迎えるカキやホタテが危機に!? “海洋酸性化”が食卓に迫る日
11/16(日)10:00am – 10:40am OCEAN BLINDNESS ~私たちは海を知らない?~海に関するさまざまなプロジェクトを手掛ける日本
ポッドキャスト配信中
11月30日 黒潮の大蛇行終息・サンマ豊漁・広島カキ全滅──2025年“海の流行語”で読み解く日本の海
「OCEAN BLINDNESS ~私たちは海を知らない?~シーズン2」最終回のテーマは2025年を振り返る特別企画「海の流行語2025」です!
11月23日 ぜひお取り寄せしてみて!富山の氷見ブリ・あさり・アイゴ・すじ青のりのパウンドケーキまで絶品の海グルメに舌つづみ!
今回の放送は特別企画!題して「海のグルメお取り寄せスペシャル」!!普段は海の危機や海の可能性を深掘りしていますが、今回はおいしい海を通して海の変化や未来を知ろう
11月16日 これから旬を迎えるカキやホタテが危機に!? “海洋酸性化”が食卓に迫る日
今回のテーマは「海洋酸性化」。ゲストにお迎えしたのは、東京大学大気海洋研究所の教授・藤井賢彦(ふじい まさひこ)先生です。「海洋酸性化」は聞き馴染みのない人がほ